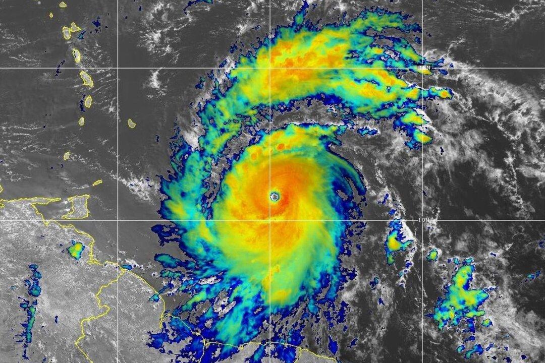
Hurricane Beryl strengthened as it churned toward several small Caribbean island nations on July 1, officials said, as the U.S. Embassy issued a warning for American citizens who are visiting small island nations.
As of Monday at noon, the storm was rated as a Category 4 by the U.S. National Hurricane Center (NHC), which reported that Beryl had winds of 150 mph—about 7 mph shy of a Category 5 hurricane.





