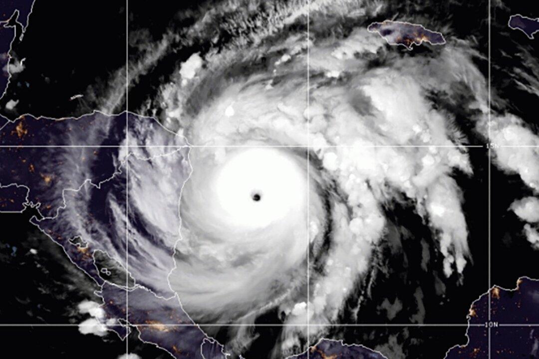
MANAGUA, Nicaragua—A fast-strengthening Hurricane Iota became a very dangerous Category 4 storm as it swept over the western Caribbean early Monday, approaching the same part of Central America battered by a similarly powerful Hurricane Eta just over a week ago.
Forecasters said Iota’s maximum sustained winds had reached 155 mph and were growing stronger, potentially making for a catastrophic Category 5 hurricane by the time it reaches the coast.





