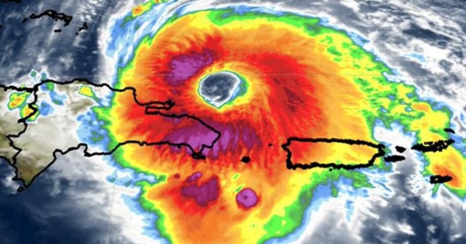
SAN JUAN, Puerto Rico — Hurricane Maria lashed parts of the Dominican Republic with heavy rain and high winds and headed northwest in the Caribbean on Thursday after making a direct hit on Puerto Rico that caused severe flooding and cut power to the entire island.
Maria has killed at least 10 people as it raged through the Caribbean, the second major hurricane to do so this month.





