Hurricane Maria Becomes ‘Extremely Dangerous’ Storm

Hurricane Maria Becomes ‘Extremely Dangerous’ Storm
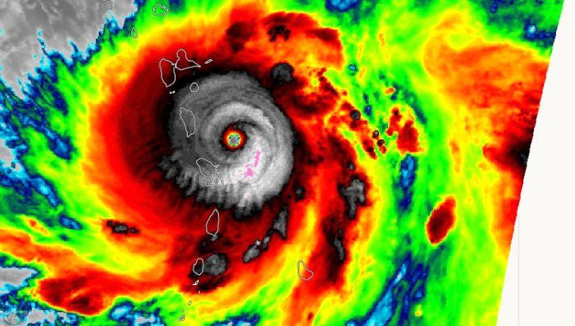
Hurricane Maria NOAA / NHC
Jack Phillips
Jack Phillips
Breaking News Reporter
|Updated:
Hurricane Maria is intensifying and is now a very dangerous Category 4 storm, the U.S. National Hurricane Center (NHC) said in a post on Monday, Sept. 18.

The NHC warned that Maria, which was named a hurricane over the weekend, is “extremely dangerous” and has winds of 130 mph.

Jack Phillips
Jack Phillips
Breaking News Reporter
Jack Phillips is a breaking news reporter who covers a range of topics, including politics, U.S., and health news. A father of two, Jack grew up in California's Central Valley. Follow him on X: https://twitter.com/jackphillips5
twitter