Hurricane Irma Will ‘Devastate’ the US: FEMA Chief Says

Hurricane Irma Will ‘Devastate’ the US: FEMA Chief Says
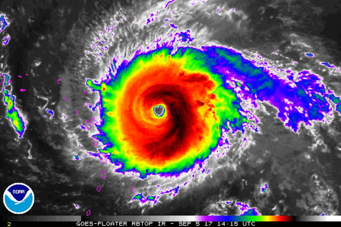
Hurricane Irma reached historic proportions on Wednesday, Sept. 6, becoming the only Atlantic or Eastern Pacific hurricane on record with sustained winds of 185 mph for over 24 hours, according to Eric Blake, a scientist with the National Hurricane Center. NOAA
|Updated:

Anticipating that Hurricane Irma will “devastate” part of the United States, U.S. officials were preparing a massive response to the storm, the head of the Federal Emergency Management Agency (FEMA) said on Friday.

With Irma set to hit Florida as early as Saturday night, parts of Florida was expected to lose electricity for days, if not longer, and more than 100,000 people may need shelter, FEMA Administrator Brock Long warned at a news conference.

“Hurricane Irma continues to be a threat that is going to devastate the United States in either Florida or some of the southeastern states,” Long said.

University of Wisconsin models of Hurricane Irma's possible path as of Sept. 8, 2017, 8 a.m. EST. (University of Wisconsin)
University of Wisconsin models of Hurricane Irma's possible path as of Sept. 8, 2017, 8 a.m. EST. University of Wisconsin