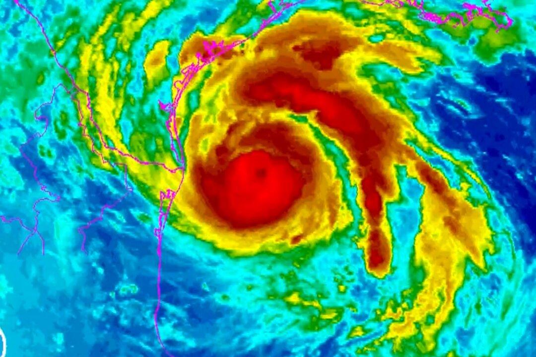
GALVESTON, Texas - Hurricane Harvey intensified early on Friday into potentially the biggest hurricane to hit the U.S. mainland in more than a decade, as authorities warned locals to shelter from what could be life-threatening winds and floods.
Harvey is set to make landfall late Friday or early Saturday on the central Texas coast where Corpus Christi and Houston are home to some of the biggest U.S. refineries. Oil and gas operations have already been affected and gasoline prices have spiked.
“Now is the time to urgently hide from the wind. Failure to adequately shelter may result in serious injury, loss of life, or immense human suffering,” the National Weather Service said.
Harvey grew into a category 2 storm with winds of 105 mph (169 kph) as it moved northwest about 185 miles (295 km) off Port O'Connor, Texas, the National Hurricane Center said.






